There’s building happening in the Lowe’s Food Shopping Center in Carolina Forest, but no one is sure exactly what will be moving into the new digs.
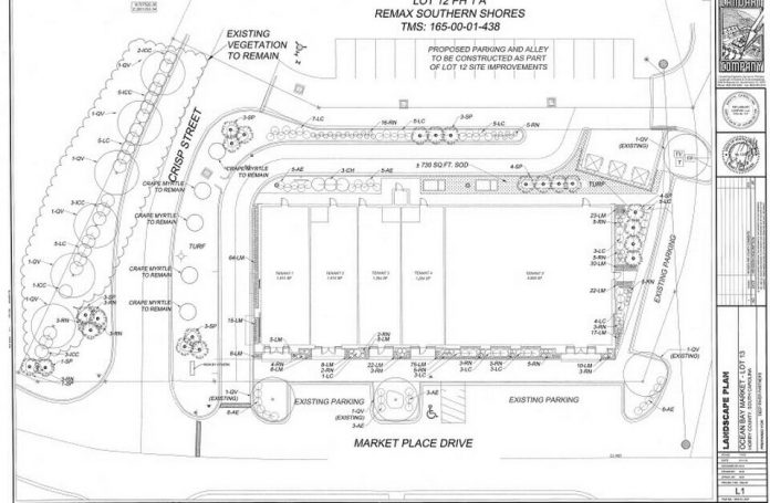
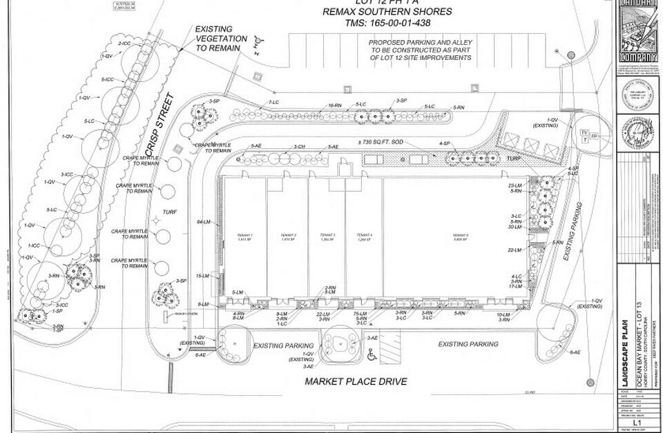
What is for sure is that a five-unit building will be erected in the same parking lot as Lowes Food and the lot will bear the moniker of the Ocean Bay Market, according to Myrtle Beach Online.
The development is brainchild of Greensboro-based commercial real estate company Deep River Partners.
The company has been known to work with the likes of Krispy Kreme Donuts, IHOP and Firehouse subs.
The largest unit in the market building will apparently consist of 5,000 square feet. Four other units will be between 1,200 and 1,500 square feet.

